








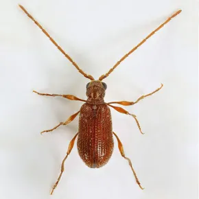
Une espèce de Mezium


L'entomologiste IA dans votre poche, scannez le code QR pour télécharger



D'où vient Ptine luisant ?
Quelle est la meilleure prévention contre Ptine luisant ?

Comment se débarrasser de Ptine luisant ?




Plus d'effets de Ptine luisant










