Essayer gratuitement
tab list
Picture Insect
Français
arrow
English
繁體中文
日本語
Español
Français
Deutsch
Pусский
Português
Italiano
한국어
Nederlands
العربية
ACCEUIL Application Télécharger FAQ
Français
English
繁體中文
日本語
Español
Français
Deutsch
Pусский
Português
Italiano
한국어
Nederlands
العربية

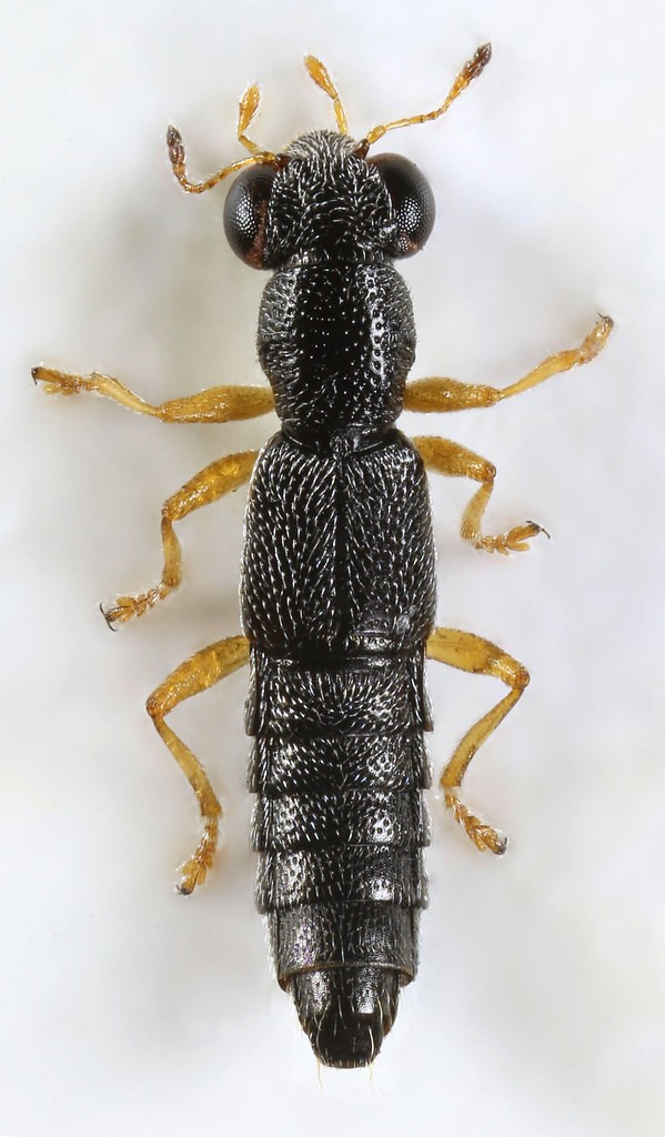
Stenus

Nom scientifique: Stenus

Stenus
Nom scientifique: Stenus
Stenus (Stenus) Stenus (Stenus) Photo By S. Rae , used under CC-BY-2.0 /Cropped and compressed from original

Scientific Classification

Un Entomologiste IA dans votre poche
Scannez le code QR pour télécharger
Outil de gestion des cookies
Outre la gestion des cookies via votre navigateur ou votre appareil, vous pouvez modifier vos paramètres de cookies ci-dessous.
Cookies nécessaires
Les cookies nécessaires permettent les fonctionnalités de base. Le site web ne peut pas fonctionner correctement sans ces cookies, et ils ne peuvent être désactivés qu'en modifiant les préférences de votre navigateur.
Cookies analytiques
Les cookies analytiques nous aident à améliorer notre application/site web en collectant et en rapportant des informations sur son utilisation.
Nom du cookie Source Objectif Durée de vie
_ga Google Analytics Ces cookies sont mis en place en raison de notre utilisation de Google Analytics. Ils sont utilisés pour collecter des informations sur votre utilisation de notre application/site web. Les cookies collectent des informations spécifiques, telles que votre adresse IP, les données relatives à votre appareil et d'autres informations sur votre utilisation de l'application/du site web. Veuillez noter que le traitement des données est essentiellement effectué par Google LLC et que Google peut utiliser vos données collectées par les cookies à des fins propres, par exemple le profilage, et les combinera avec d'autres données telles que votre compte Google. Pour plus d'informations sur la manière dont Google traite vos données et sur l'approche de Google en matière de confidentialité ainsi que sur les mesures de protection mises en œuvre pour vos données, veuillez voir ici. 1 an
_pta PictureThis Statistiques Nous utilisons ces cookies pour recueillir des informations sur la façon dont vous utilisez notre site, pour suivre les performances du site et pour améliorer les performances de notre site, nos services et votre expérience. 1 an
Nom du cookie
_ga
Source
Google Analytics
Objectif
Ces cookies sont mis en place en raison de notre utilisation de Google Analytics. Ils sont utilisés pour collecter des informations sur votre utilisation de notre application/site web. Les cookies collectent des informations spécifiques, telles que votre adresse IP, les données relatives à votre appareil et d'autres informations sur votre utilisation de l'application/du site web. Veuillez noter que le traitement des données est essentiellement effectué par Google LLC et que Google peut utiliser vos données collectées par les cookies à des fins propres, par exemple le profilage, et les combinera avec d'autres données telles que votre compte Google. Pour plus d'informations sur la manière dont Google traite vos données et sur l'approche de Google en matière de confidentialité ainsi que sur les mesures de protection mises en œuvre pour vos données, veuillez voir ici.
Durée de vie
1 an

Nom du cookie
_pta
Source
PictureThis Statistiques
Objectif
Nous utilisons ces cookies pour recueillir des informations sur la façon dont vous utilisez notre site, pour suivre les performances du site et pour améliorer les performances de notre site, nos services et votre expérience.
Durée de vie
1 an
Cookies marketing
Les cookies marketing sont utilisés par les sociétés de publicité pour diffuser des annonces qui correspondent à vos intérêts.
Nom du cookie Source Objectif Durée de vie
_fbp Pixel Facebook Un pixel de suivi de conversion que nous utilisons pour les campagnes de reciblage. Pour en savoir plus, cliquez ici. 1 an
_adj Adjust Ce cookie fournit des services d'analyse et d'attribution mobiles qui nous permettent de mesurer et d'analyser l'efficacité des campagnes marketing, de certains événements et actions dans l'application. Pour en savoir plus, cliquez ici. 1 an
Nom du cookie
_fbp
Source
Pixel Facebook
Objectif
Un pixel de suivi de conversion que nous utilisons pour les campagnes de reciblage. Pour en savoir plus, cliquez ici.
Durée de vie
1 an

Nom du cookie
_adj
Source
Adjust
Objectif
Ce cookie fournit des services d'analyse et d'attribution mobiles qui nous permettent de mesurer et d'analyser l'efficacité des campagnes marketing, de certains événements et actions dans l'application. Pour en savoir plus, cliquez ici.
Durée de vie
1 an
Télécharger